Logo Météo Strasbourg, météo expertisée et gratuite

    Après avoir frappé Cuba, le puissant ouragan Ian ravage la Floride

     

    L'ouragan Ian fait la une de tous les médias ! Après avoir touché Cuba, ce puissant ouragan de catégorie 4 s'abat sur la Floride ce mercredi 28 septembre. Il s'accompagne d'une marée de tempête dévastatrice.

     

     

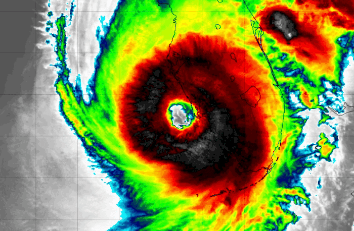
    Ouragan Ian : proche de la catégorie 5 !

     

    L'ouragan Ian s'est formé dans la mer des Caraïbes au début de la semaine. Il s'est nettement intensifié en atteignant Cuba, devenant à ce moment un ouragan majeur de catégorie 3. Seulement, le phénomène s'est de nouveau intensifié en quittant l'île et en poursuivant sa route au-dessus des eaux chaudes du golfe du Mexique. L'ouragan a rapidement été réévalué en catégorie 4 et a quasiment atteint la catégorie 5 ce mercredi 28 septembre 2022 au large de la Floride ! En effet, les avions de reconnaissance ont mesuré des vents moyens proches des 250 km/h, ce qui constitue la frontière entre la catégorie 4 et la catégorie 5 !

     

    Situation à échelle continentale ce mardi 27 septembre 2022 - carte ECMWF

     

     

     

    À Cuba, les dégâts furent considérables. Les vents ont été particulièrement puissants, faisant chuter de nombreux arbres et lignes électriques. Ainsi, des coupures de courant généralisées sont survenues, plongeant des millions d'habitants dans le noir ! Seules les habitations munies de générateurs électriques accédaient à l'électricité ce mercredi 28 septembre 2022. L'après Ian s'avère très difficile pour ce pays insulaire.

     

    Dégâts de l'ouragan Ian à Pinar del Rio (Cuba) le mardi 27 septembre 2022 - photo Ramon Espinosa / AFP

     

     

     

    Après Cuba, tous les yeux sont désormais tournés vers la Floride où l'ouragan Ian touche terre ce mercredi 28 septembre 2022. Des vents susceptibles d'atteindre les 200 km/h sont prévus dans les toutes prochaines heures sur le sud-ouest de la Floride ! Toutefois, c'est l'onde de tempête (ou marée de tempête) qui accompagne l'ouragan qui cause le plus d'inquiétude. En effet, une surélévation du niveau de la mer susceptible d'atteindre 3,5 à 5,5 mètres est prévue par le NHC entre Englewood et Bonita Beach ! L'eau devrait donc entrer largement les terres avec des hauteurs d'eau importantes dans les habitations.

     

    Surélévation du niveau de la mer prévue en Floride ce mercredi 28 septembre 2022 - via NHC

     

     

     

    Outre les vents très puissants et l'onde de tempête, on craint également des inondations majeures liées aux pluies diluviennes qui vont s'abattre sur tout le centre de la Floride. Sur les zones en rouge et violet sur la carte ci-dessous, on prévoit entre 250 et 450 mm de pluie au passage de l'ouragan Ian. De telles quantités d'eau sont susceptibles de causer d'importantes inondations sur de vastes zones, faisant entrer en crue de nombreux cours d'eau de la région.

     

    Carte des quantités de pluie attendues en Floride au passage de l'ouragan Ian - via NHC

     

     

     

     

    Des premières images dramatiques

     

    En cette soirée du mercredi 28 septembre 2022 en France, l'ouragan Ian s'apprête à toucher terre sur le sud-ouest de la Floride. Les éléments se déchaînent depuis les toutes dernières heures avec des vents de plus en plus violents, responsables de nombreuses chutes d'arbres. Celles-ci endommagent les lignes électriques, comme le montre les images ci-dessous, si bien que les coupures d'électricité sont de plus en plus nombreuses.

     

    Lignes électriques endommagées par l'ouragan à Naples (Floride) ce mercredi 28 septembre 2022 - via ABC News

     

     

     

    Si le vent est une réelle menace, l'onde de tempête qui accompagne l'ouragan Ian l'est encore plus. Comme nous l'avons vu plus haut, le niveau de la mer va se surélever de plusieurs mètres sur le sud-ouest de la Floride. À la mi-journée du mercredi 28 septembre 2022 (heure locale), l'océan était déjà 5 pieds (soit 1,5 mètre) au-dessus de son niveau habituel à Naples et ce n'est qu'un début ! Le graphique ci-dessous montre à quel point la hausse du niveau de la mer est fulgurante. Cette station installée en 1965 a d'ores et déjà battu son record (établi au passage de l'ouragan Irma en 2017) !

     

    Onde de tempête mesurée à la station de Naples (Floride) ce mercredi 28 septembre 2022 - via NOAA

     

     

     

    Le secteur de Naples dans le sud-ouest de la Floride figure parmi les plus touchés par l'onde de tempête générée par l'ouragan Ian. Ci-dessous, la dernière image capturée par la webcam de la jetée avant que celle-ci ne tombe en panne (coupures d'électricité). Cette image date de la mi-journée (heure locale). On constate à quel point le niveau de la mer avait augmenté avec des vagues surpuissantes endommageant tout le front de mer.

     

    Comparaison de la jetée de Naples (Floride) entre hier et ce mercredi 28 septembre 2022 - via EarthCam

     

     

     

    Peu à peu, les eaux de l'océan entrent dans les terres et envahissent les villes. Les habitants qui n'ont pas évacué ne peuvent que constater avec effroi la montée inexorable du niveau de l'eau dans les rues. L'océan envahit peu à peu de nombreux quartiers ainsi que leurs habitations. Pour les résidents du bord de mer, la marée de tempête est susceptible d'engloutir en totalité les rez-de-chaussée dans le courant des prochaines heures !

     

    Onde de tempête inondant Fort Myers Beach (Floride) ce mercredi 28 septembre 2022 - via Estero Blvd

     

     

    Les images nous parviennent au compte-goutte mais sont de plus en plus catastrophiques. En après-midi du 28 septembre (heure locale), la ville de Fort Myers apparaissait comme la plus durement touchée avec jusqu'à 2 mètres d'eau dans certains quartiers, engloutissant le rez-de-chaussée des logements...

     

    Inondations dramatiques à Fort Myers Beach (Floride) ce mercredi 28 septembre 2022 - via NBC2